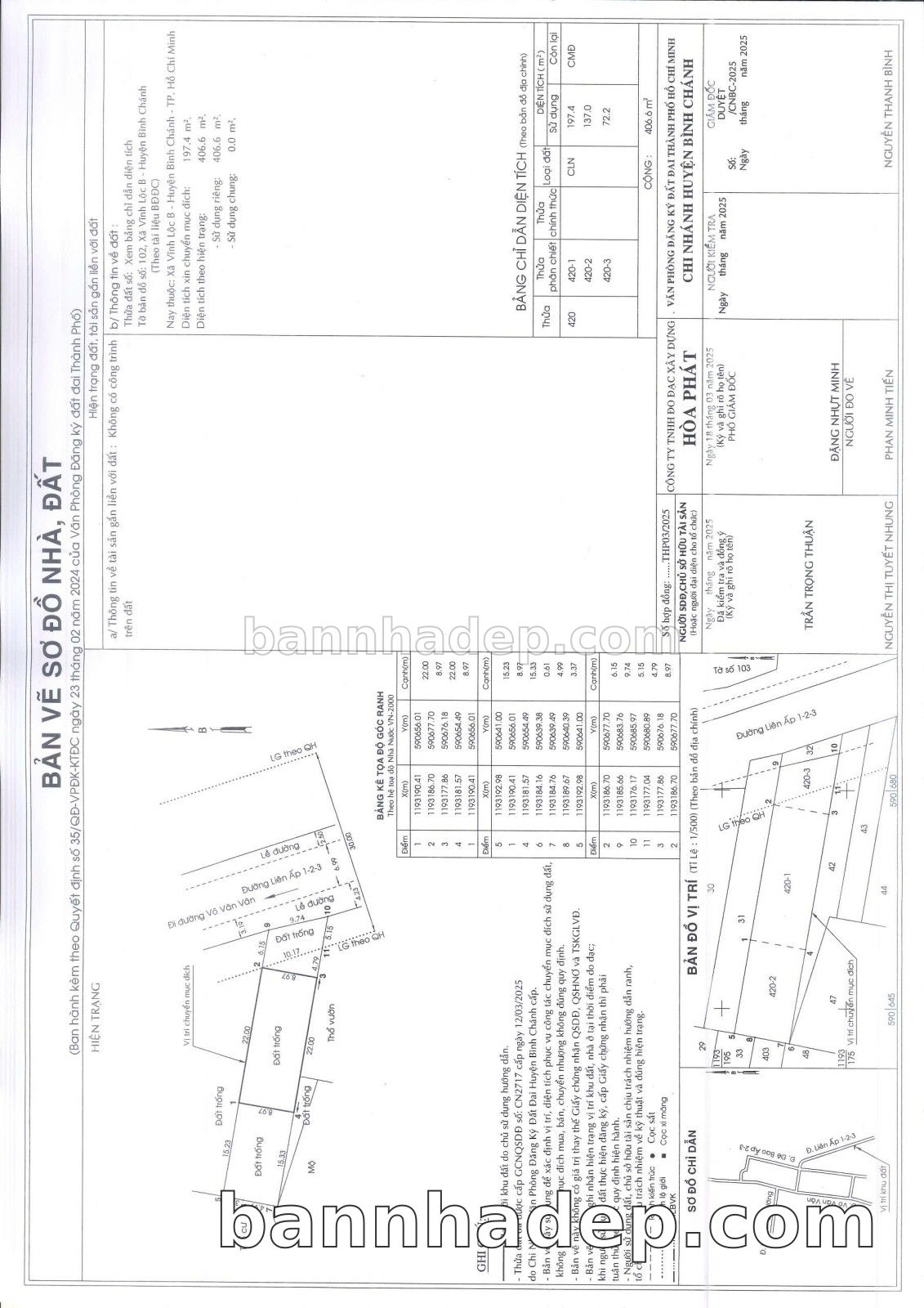
Định vị khu đất: https://goo.gl/maps/17naYBfLvK6NJFtP6 MẶT TIỀN LIÊN ẤP 123 – 410M2 NGANG KHỦNG HƠN 9M TIỆN LÀM KHO XƯỞNG CÔNG TY – TRỤC ĐƯỜNG HUYẾT MẠCH NỐI VĨNH LỘC A, BÀ ĐIỂM VÀ QUỐC LỘ 1A – NGANG GẦN 10M – KHU VỰC ĐÔNG ĐÚC KINH DOANH ĐỈNH – 410M2 MÀ CHỈ CÓ 13TY. Thửa 420 tờ 102 (Mặt tiền Đối diện B12C/7C Liên Ấp 123, Ấp 2) 410 Đất 9.7 43 13 tỷ Vĩnh Lộc B Bình Chánh 10 đến 20 HĐ Chuyên gia Đăng Phòng Phú Mỹ , H390, nguồn Chuyên gia Đăng. Mô tả: + Khu vực đang được nâng cấp hạ tầng, mở rộng lộ giới, giúp gia tăng giá trị đất theo thời gian. + Gần chợ, trường học, khu dân cư đông đúc – dễ chuyển đổi mục đích sử dụng, khai thác thương mại. + Diện tích: 410 m² – nở hậu, đẹp, phù hợp xây dựng nhà xưởng nhỏ, kho bãi hoặc biệt thự sân vườn.Chiều ngang 9.7m, dài 43m, vuông vức – rất dễ bố trí công năng, không bị lỗi phong thủy. + Giá chỉ gần 31.700.000 đ/m² đất thổ, quá tốt cho khu vực Vĩnh Lộc B – nơi đất nền đang tăng giá từng quý. Hạ tầng đang phát triển mạnh, rất tiềm năng tăng giá trung hạn. + Kết nối khu vực thuận tiện:Gần KCN Vĩnh Lộc, quốc lộ 1A, ra trung tâm thành phố chỉ 30 phút. + Thích hợp xây kho xưởng, nhà trọ công nhân, hoặc mua đầu tư để đón sóng quy hoạch mở rộng đô thị về hướng Tây. + Sổ vuông vức A4, khu đất đẹp có thể công chứng sang tên trong ngày. Anh em dẫn khách theo đúng quy trình báo trước Chuyên viên Đăng 60 phút để được hỗ trợ tốt nhất. Chuyên viên Đăng – Phòng Phú Mỹ .